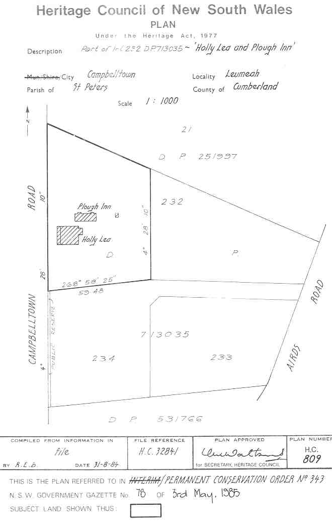
Holly Lea & Plough Inn


View Full Size Image
  • <br/>Image by: Heritage Council of NSW<br/>Image copyright owner: Heritage Council of NSW

Back to images gallery


Back to images gallery

Back to Detail Page